Fish Stocking/Netting
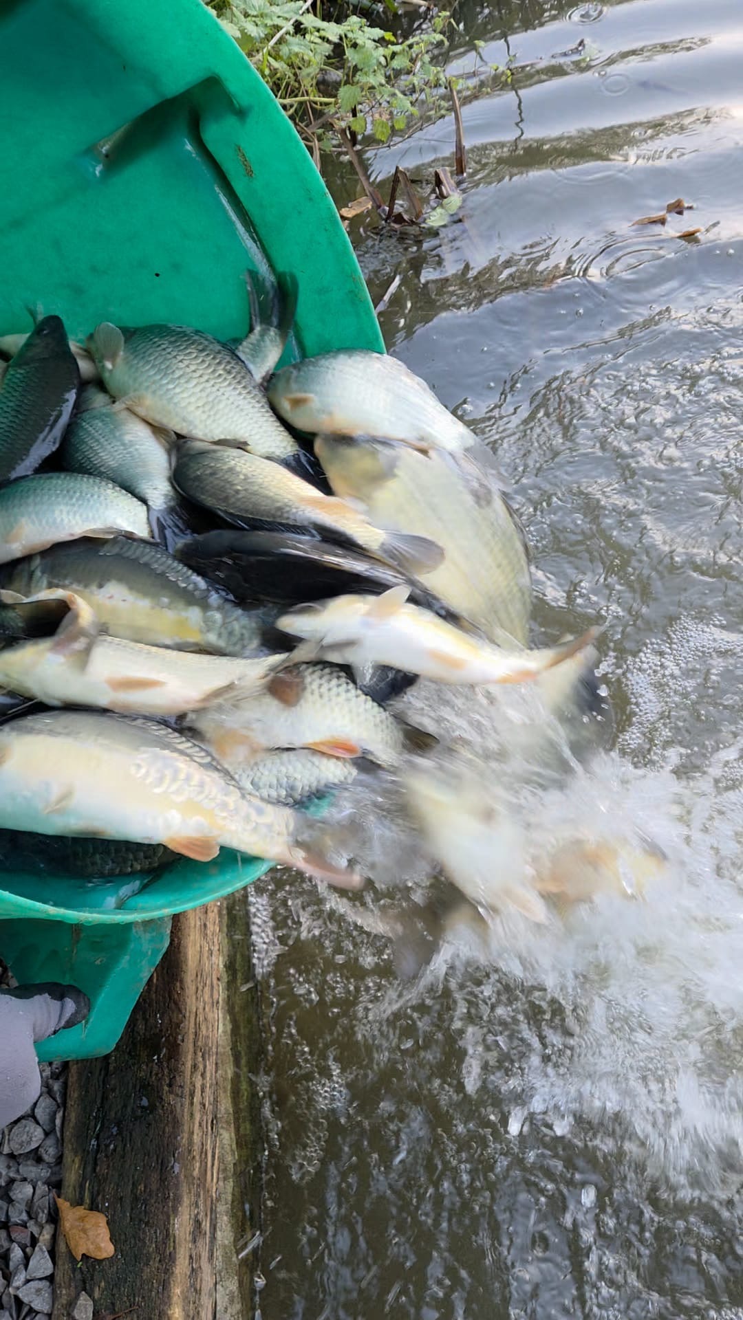
This is the information from our recent stocking and netting carried out between the 15th-17th November
Woodstock was stocked with 600lb which was a mix of F1s and Carp up to 2lb
School Pool was stocked with 300lb which was a mix of F1s and Carp up to 2lb
Morgan’s pond had a netting carried out on Friday where we moved the F1s and stocky carp back into to school pool, we also moved some skimmers/ roach and tench into School Pool and Woodstock.
We have an order of 10 fish ranging from 14lb-18lb in the coming weeks that will be going into Morgan’s Pond








